ÇöÀçÀ§Ä¡ : Ȩ > ³¬½ÃÅͼҰ³ > Á¶È²Á¤º¸
 
10¿ù/10ÀÏ ¼ö¿äÀÏ Á¶È²ÀÔ´Ï´Ù No. 1997
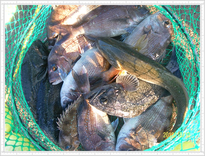
   µî´ëÁö±â    2012³â 10¿ù 10ÀÏ


È®½ÇÈ÷ ¾îÁ¾ÀÌ ¹Ù²î¾î °¡´Â °èÀýÀÌ ¿ÂµíÇÕ´Ï´Ù.... ÀÔÁúÀÌ °¥¼ö·Ï ¿¹¹ÎÇØÁö´Â µ¹µ¼ÀÇ ¸ð½ÀÀº º¸¿©ÁöÁú ¾Ê°í ÀÖÀ¸¸ç... ¿ì·°ÀÇ ÀÔÁúÀº Á¡Â÷ »ì¾Æ°©´Ï´Ù...^^ Å«¾¾¾ËÀÇ ¿ì·°ÀÌ ÇÔ²²Çϸç... Áñ°Å¿î ¼Õ¸À°ú ÀÔ¸ÀÀÌ ÇÔ²²Çϳ׿ä... ³¯¾¾°¡ ½Ò½ÒÇØÁö´Â ¿äÁò... ¾óÅ«ÇÏ°í ½Ã¿øÇÑ ¿ì·°¸Å¿îÅÁÀÌ ³¡³»Áֳ׿ä...^^ ÁÖÁß°ú ÁÖ¸»±Ç µî´ë¿¡¼­ Áñ°Å¿î ÃâÁ¶ÇÔ²²Çϼ¼¿ä
 board1_20121010.JPG
 board1_20121010.jpg
10¿ù/11ÀÏ ¸ñ¿äÀÏ Á¶È²!!  
10¿ù/9ÀÏ È­¿äÀÏ Á¶È²ÀÔ´Ï´Ù.