ÇöÀçÀ§Ä¡ : Ȩ > ³¬½ÃÅͼҰ³ > Á¶È²Á¤º¸
 
5¿ù/22ÀÏ ÀÏ¿äÀÏ ´ë¹ÚÀÇ Á¶È²ÀÔ´Ï´Ù No. 1966
   µî´ëÁö±â(gbok-lee@hanmail.net)    2011³â 05¿ù 22ÀÏ










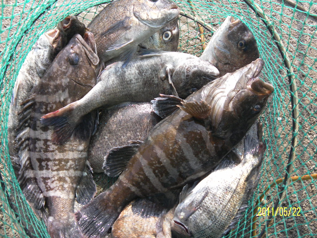
¿À´Ã ÀÏ¿äÀÏ Àüü Á¶È²·ü 95% ´Ù¾çÇÑ ¾îÁ¾°ú ´Ù±ÝÀÌ Á¶È²ÀÌ ´ë¹ÚÀ̾ú´ø ÇÏ·çÀÔ´Ï´Ù

µ¹µ¼°ú´õºÒ¾î ´Ù±ÝÀÌ ´ëÃàÁ¦ ÀÌÁ¦ ¿©·¯ºÐµéÀÌ ÁÖÀΰøÀ̽ʴϴÙ

6¿ù/5ÀϱîÁö ÇÑ´Þ¿©°£ÀÇ ´ëÀåÁ¤ µî´ë¿¡¼­ Áñ°Å¿î ¼Õ¸ÀÀ» º¸½Ã±â ¹Ù¶ø´Ï´Ù
 board1_20110522.JPG
 board1_20110522(0).JPG
 board1_20110522(1).JPG
 board1_20110522(2).JPG
 board1_20110522(3).JPG
 board1_20110522(4).JPG
 board1_20110522(5).JPG
 board1_20110522(6).JPG
 board1_20110522(7).JPG
 board1_20110522(8).JPG
5¿ù/22ÀÏ ÀÏ¿äÀÏ Á¶È²2¹øÂ°!  
5¿ù/21ÀÏ Åä¿äÀÏ Á¶È²ÀÔ´Ï´Ù