ÇöÀçÀ§Ä¡ : Ȩ > ³¬½ÃÅͼҰ³ > Á¶È²Á¤º¸
 
7¿ù/9ÀÏ Åä¿äÀÏ Á¶È² 5 No. 1937
   µî´ëÁö±â(gbok-lee@hanmail.net)    2011³â 07¿ù 09ÀÏ










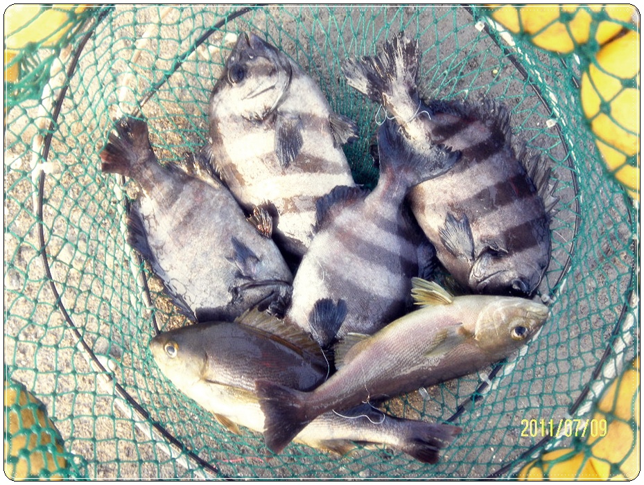
ÁÖ¸»±Ç ºñ°¡¿ÀÁö¸¸ ¾ÆÁÖ ÈíÁ·ÇÑ ²ÙÁØÇÑ Á¶È²À» º¸À̸ç Àüü Æ÷ÀÎÆ®±Ç ´Ù¾çÇÑ ¾îÁ¾µéÀÌ ÀÔÁúÀÌ ²÷ÀÌÁú ¾Ê½À´Ï´Ù
¸¹Àº Á¶»ç´ÔµéÀÌ ÀÚ¸®ÇÑ °¡¿îµ¥ ²ÙÁØÇÑ Á¶°ú¸¦ º¸¿© ¸ðµÎµé Áñ°Å¿î ³¬½Ã°¡ µÇ°í ÀÖ½À´Ï´Ù
¶Ò¹æÂÊ Æ÷ÀÎÆ® ÀÔÁúÀÌ »ì¾Æ³ª¸ç Á¶°úÀ² ÁÁ½À´Ï´Ù
 board1_20110709(38).JPG
 board1_20110709(39).JPG
 board1_20110709(40).JPG
 board1_20110709(41).JPG
 board1_20110709(42).JPG
 board1_20110709(43).JPG
 board1_20110709(44).JPG
 board1_20110709(45).JPG
 board1_20110709(46).JPG
 board1_20110709(47).JPG
7¿ù/10ÀÏ ÀÏ¿äÀÏ Á¶È² 1  
7¿ù/9ÀÏ Åä¿äÀÏ Á¶È² 4