ÇöÀçÀ§Ä¡ : Ȩ > ³¬½ÃÅͼҰ³ > Á¶È²Á¤º¸
 
7¿ù/12ÀÏ È­¿äÀÏ Á¶È² 2 No. 1939
   µî´ëÁö±â(gbok-lee@hanmail.net)    2011³â 07¿ù 12ÀÏ










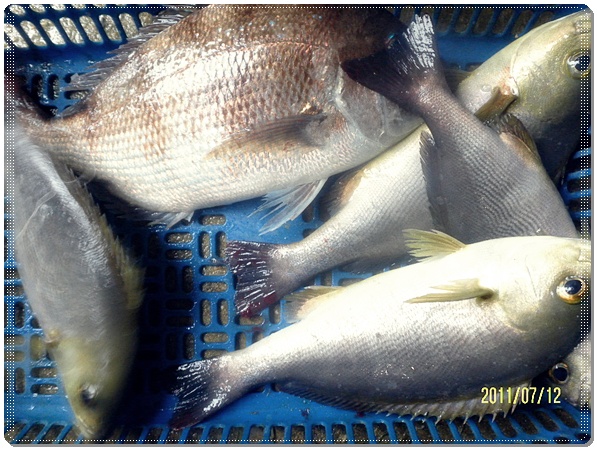
¿À´Ã È­¿äÀÏ ¿©ÀüÈ÷ ºñ°¡¿À´Â°¡¿îµ¥...´Ù¾çÇÑ ¾îÁ¾ÀÌ ÀÔÁúÀ» º¸À̰í ÀÖ½À´Ï´Ù
µ¾µ¼ÀÇ Ãß°¡¹æ·ù°¡ À̾îÁö¸ç ¿À´Ã µ¹µ¼ÀÇ ¿¹¹ÎÇÑ ÀÔÁúÀÌ ³¹¸¶¸® Á¶°ú¸¦ º¸À̰í Àֳ׿ä
 board1_20110712(0).jpg
 board1_20110712(1).jpg
 board1_20110712(2).jpg
 board1_20110712(3).jpg
 board1_20110712(4).jpg
 board1_20110712(5).jpg
 board1_20110712(6).jpg
 board1_20110712(7).jpg
 board1_20110712(8).jpg
 board1_20110712(9).jpg
7¿ù/12ÀÏ È­¿äÀÏ Á¶È² 3  
7¿ù/12ÀÏ È­¿äÀÏ Á¶È² 1