ÇöÀçÀ§Ä¡ : Ȩ > ³¬½ÃÅͼҰ³ > Á¶È²Á¤º¸
 
4¿ù/5ÀÏ Ãß°¡°í±âÀÛ¾÷! No. 2149
   µî´ëÁö±â    2012³â 04¿ù 06ÀÏ


¸ñ¿äÀÏ Ãß°¡ÀûÀÎ ÁÖ¸»±Ç °í±âÀÛ¾÷ÀÌ ÀÌ·ç¿ö Á³½À´Ï´Ù
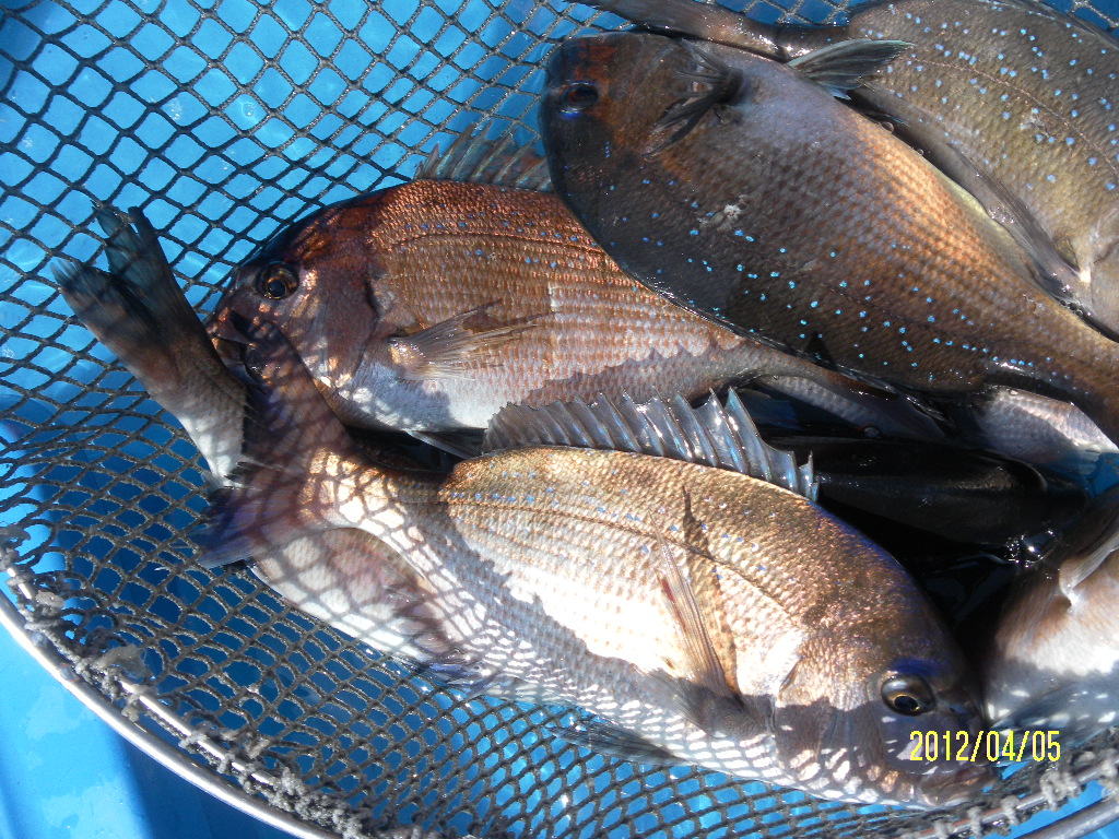
Âüµ¼°ú ³ó¾î ¿ì·°ÀÌ ´ë°Å ÀÔÇÏ ,ÀÛ¾÷¹× ¹æ·ù°¡ À̾îÁý´Ï´Ù.
 board1_20120406.JPG
 board1_20120406.jpg
4¿ù/6ÀÏ ±Ý¿äÀÏ Á¶È²!  
4¿ù/4ÀÏ ¼ö¿äÀÏÁ¶È²!